Location: Tobago Cays

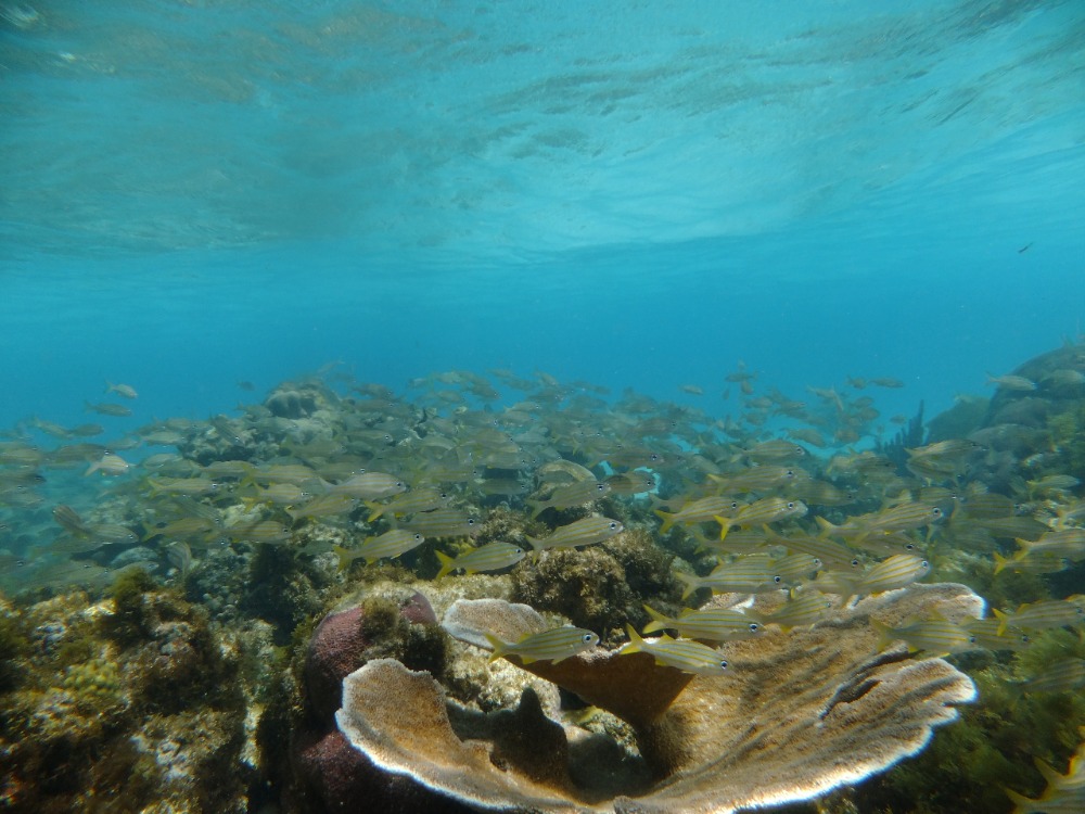
The Tobago Cays are one of the easier places to get out of bed in the morning. A set of cacti-covered islands waiting to be explored, with white sand beaches to relax on and clear waters to cool off or snorkel in. Today’s plan made it even easier to get up, with Marine Biology class (Seamester style) throughout the day and into the evening. The morning started by learning about marine reptiles and birds to fully appreciate the fieldwork to follow, getting up close with the Green turtles found around the cays. Students and staff alike were quick to get snorkel gear ready after class and get into the water to view the animals they had just been learning about. It didn’t take long to spot our first turtle as one surfaced for breath, even before we got out of the dinghy. Green turtles are one of nature’s true beauties, with a beautifully patterned shell (leading to them being hunted in some areas), a smooth, rounded head, piercing eyes, and a majestic grace as they glide through the water. Fortunately, there are plenty in this Marine Reserve, allowing everyone the pleasure to swim along with them freely as they feed on the seagrass beds found in the shallow waters. Starting off in one group, everybody was soon heading off in different directions, distracted by these balletic reptiles. After turtle viewing, the group split into snorkeling groups to see what else was in the store, with my group heading off around the island. We were fortunate to see a 3ft Lemon Shark gliding through the breaking waves and a Southern Stingray off the reef. The land has more to offer than cacti and other flora, with an array of bird and reptile life, as well as large iguanas at every turn. Lunch was soon needed following this morning’s exertion, followed by an Oceanography class looking at the wonders of water that power life on Earth. The afternoon was a more chilled affair, heading to one of the other islands to relax on the beach, play volleyball in the water, and take in the spectacular views (I had earlier found that the Tobago Cays are the ideal spot to get up to the crow’s nest and take in the scenery from up high!). It soon became time for dinner, with some much-needed spaghetti Bolognese to replenish energy levels, before another Marine Biology class to view the reef at night. After an introduction to the changes in the reef community at night, we set out in search of newfound fish and invertebrates. Things started off with another turtle, looking for a place to rest for the night ahead, and a Spanish Lobster, just emerging from his daytime hideaway to forage in the darkness. We also managed to find an octopus, moray eel, and snake eel out hunting, in addition to a number of other species emerging in the twilight. Today was a day to savor one of the most beautiful places in the Caribbean, with fascination around every corner, new marine species to discover, and a star-filled sky to fall asleep to.