Location: Tobago Cays

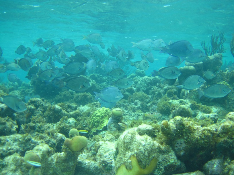
Today was a great day, as usual! Who can complain when you wake up in the Tobago Cays to palm trees and clear blue water? We woke up and had a delicious English-style breakfast, followed by an Oceanography class. After that, the group was split into two groups: the first group did a science snorkel with Casey, and the second group had some shore time. The snorkeling group saw some neat things, including a nurse shark, on a reef nearby. And the shore group also saw some neat things like iguanas and turtles! For lunch, we had pasta and garlic bread- always a satisfying meal! After lunch, the groups switched, and Kristine took the second group snorkeling. Everyone was back in Argo by around 15:00. During their free time. Most people studied for a fish identification quiz that we had for the next day. Some people took advantage of their free time for naps since it was a little rainy outside today. We had an early Thai curry dinner so that the first snorkel group could do a night snorkel, which should be very cool! And then we will snuggle up in the salon to watch Pirates of the Caribbean since we are anchored right next to one of the spots where it was filmed!